(ANKARA) – Jamaika, bu yıl yaşanmış en güçlü kasırgayı ve ada tarihindeki kayıtlara geçen en güçlü fırtınaya hazırlanıyor, uzmanlar, bölgede yaşayanları “feci ve yaşamı tehdit edici koşullar” konusunda uyardı. Jamaika Başbakanı Andrew Holness, “Hazırlanın, tahliye emirlerine uyun, kendinizi ve ailenizi koruyun” dedi.
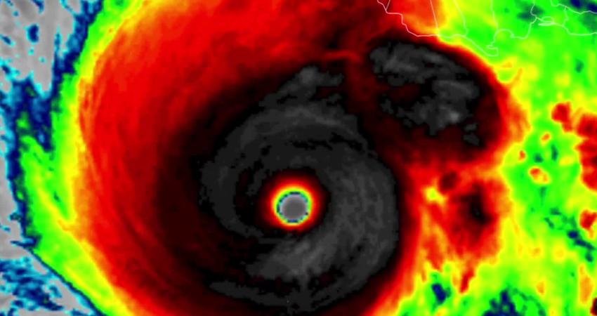
Saatte 282 km güce varan rüzgar hızlarıyla Melissa Kasırgası, maksimum güç olan 5. kategoride bir fırtına olarak kayıtlara geçti. Şiddetini artıran kasırganın, bugün ilerleyen saatlerde Karayip Adası’na ulaşması bekleniyor.
Meteoroloji uzmanları tarafından yapılan açıklamalarda “Melissa’nın yavaş hızının bazı bölgelerde uzun süreli şiddetli yağış anlamına gelebileceği ve bunun da ölümcül sel ve toprak kayması riskini artırdığı” uyarısı yapıldı.
Fırtına, Jamaika’da hayatını kaybedenlere ek olarak, Haiti ve Dominik Cumhuriyeti’nde 4 kişinin daha ölümüne neden oldu.
ABD merkezli Ulusal Kasırga Merkezi’nden (UKM) gelen son verilere göre, maksimum rüzgâr hızı ve düşük merkezi basınç açısından Melissa’nın “bu yıl şu ana kadar dünyanın en güçlü fırtınası” olduğu belirtildi. Mevcut gücüyle kasırganın, kayıtların tutulmaya başlandığı 1851’den bu yana Jamaika’yı vuran en güçlü kasırga olacağı iddia edildi.
UKM’nin dün yaptığı son halka açık bilgilendirme güncellemesinde, “Jamaika’da halihazırda tropik fırtına koşullarının yaşandığı ve feci ve hayatı tehdit edici kasırga şiddetindeki rüzgâr koşullarının bugün (28 Ekim Salı) içerisinde başlamasının beklendiği” dile getirildi.
Sağlık ve Zindelik Bakanlığı, 3 kişinin ölümünü doğruladı
Jamaika Sağlık ve Zindelik Bakanlığı, sosyal medya hesabından yaptığı açıklamada, “kasırganın karaya ulaşmasından önce dün akşam Jamaika’da yaşanan felaket sebebi ile 3 ölümün yaşandığını” dile getirdi.
Bakanlık, açıklamasında “Sağlık ve Zindelik Bakanlığı, Melissa Kasırgası’na hazırlıklar sırasında fırtınayla ilişkili 3 ölümü bildirmekten üzüntü duymaktadır. Halkı son derece dikkatli olmaya çağırıyoruz, çatılara tırmanmak, kum torbalarını sabitlemek veya ağaç kesmek gibi faaliyetler yönetilebilir görünebilir, ancak kasırga koşulları sırasında küçük hatalar bile ciddi yaralanma veya ölümle sonuçlanabilir. Sular altındaki yollarda veya moloz bulunan alanlarda araç kullanmak da son derece tehlikelidir. Sağlık merkezleri kapalı kalmaya devam etmektedir, ancak hastaneler açıktır ve fırtınayla ilişkili yaralanmalarla ilgilenmektedir. Lütfen tedbirli olun, güvende kalın ve bu fırtına sırasında kendinizi ve ailenizi koruyun” ifadelerini kullandı.
Başbakan Holness: “Hazırlanın, tahliye emirlerine uyun”
Jamaika Başbakanı Andrew Holness, ada genelindeki birçok hassas bölgenin derhal tahliye edilmesi emrini verdi. Sosyal medyadaki bir paylaşımında, “Her Jamaikalıyı hazırlanmaya, fırtına sırasında içeride kalmaya ve tahliye emirlerine uymaya” çağırdığını açıkladı.
“Bu fırtınayı atlatacağız ve Jamaika’yı daha güçlü bir şekilde yeniden inşa edeceğiz” diyen Başbakan Holness, basından gelen soru üzerine “Uyarıldınız. Bu bilgiyi kullanarak doğru kararı vermek artık size kalmış. Bu bölgede 5. kategorideki bir fırtınaya dayanabilecek herhangi bir altyapı olduğuna inanmıyorum, bu nedenle önemli aksaklıklar olabilir” dedi.
Eğitim Bakanı: “Daha önce benzerini görmedik”
Jamaika hükümeti, Kingston’ın bazı bölgeleri için tahliye emri verdi. Jamaika Eğitim Bakanı Dana Morris Dixon, İngiltere basınına verdiği röportajda, “daha önce benzerini görmedikleri yaklaşan bir fırtına” konusunda uyarıda bulundu. Bakan, “Bütün ekim ayı boyunca yağmur yağıyordu. Bu yüzden toprak zaten suya doymuş durumda. Üzerine bu kadar daha yağmur alması, dağlık bölgelerde sel, kapsamlı seller ve toprak kaymaları yaşayacağımız anlamına geliyor” dedi. Ayrıca Bakan, “881 sığınağımız var. Tüm sığınaklarımızı aktive ettik. Hepsi ücretsiz” diye ekledi.




